Avec le changement climatique, des cyclones plus intenses
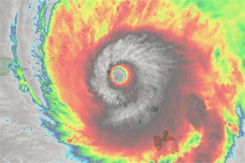
Irma, qui s’est abattue ce mercredi 6 septembre sur l’arc des Antilles, figure comme un ouragan particulièrement puissant. Avec ses rafales de vent soufflant à plus de 300 km/heure, il s’agit d’un cyclone de catégorie 5, la plus élevée dans la mesure de ces phénomènes météorologiques.
Étant donné le potentiel de dévastation de tels phénomènes, il est impératif pour les sociétés de s’en protéger, à défaut de pouvoir les éviter. Et la première des protections consiste à prévoir du mieux possible leur intensité et leur trajectoire. C’est ce que font les services de prévision de cyclones responsables des zones affectées.
#Irma : l’île de #SaintMartin au moment où elle dans l’œil de l’#ouragan, des dégâts innombrables, une île submergée… (crédit Rinsy Xieng) pic.twitter.com/0QtenX2iLw
— Guillaume Woznica (@GWoznica) 6 septembre 2017
Ouragan, typhon, cyclone tropical
Les cyclones tropicaux sont les phénomènes météorologiques les plus dévastateurs de la planète, de par l’intensité des vents qu’ils engendrent et la taille des domaines qu’ils dévastent ; les tornades, elles, peuvent atteindre des vents beaucoup plus forts, mais sur des zones de quelques dizaines de mètres seulement.
Ces phénomènes prennent le nom d’ouragan dans l’Atlantique nord et le Pacifique nord-est, de typhon dans le Pacifique nord-ouest et tout simplement de cyclone tropical partout ailleurs. Si, en français, le terme « cyclone » désigne bien ces phénomènes tropicaux, en anglais, il englobe tous les systèmes tourbillonnants, et notamment les habituelles dépressions qui touchent régulièrement les moyennes latitudes.
Les cyclones tropicaux appartiennent à la grande famille des dépressions tropicales, leur spécificité ne résultant que de la seule intensité des vents qui leur sont associés : au-delà de 63 km/heure, le système est identifié comme tempête tropicale et prend un nom dans une liste alphabétique. Ce n’est qu’à partir de 118 km/h que le système entre dans la classification des cyclones tropicaux (catégorie 1 sur 5 selon l’échelle de Saffir-Simpson).
On compte environ 90 tempêtes tropicales par an sur la planète, dont la moitié environ atteint le stade de cyclone tropical. Heureusement, tous les cyclones tropicaux n’ont pas le potentiel de destruction d’un Katrina (Nouvelle-Orléans en 2005, 1800 morts et un coût de 100 milliards de dollars) ou d’un Nargis (Birmanie 2008, 138 000 morts et 10 milliards de dollars). Celui-ci dépend en premier lieu de la densité de population dans la zone touchée. Les cyclones qui touchent les terres émergées verront le nombre de victimes et les dégâts les plus nombreux. Seuls une quinzaine des cyclones tropicaux annuels « atterrissent », pour reprendre une traduction de l’anglais landfall.
L’ouragan Matthew vu de l’espace (France Info, 2016).
Des phénomènes saisonniers
La saison cyclonique pour un océan se déroule entre l’été et l’automne de l’hémisphère concerné, avec un pic d’activité en fin d’été. Pour l’Atlantique nord, la saison cyclonique officielle s’étend du 1er juin au 30 novembre, pour le Pacifique nord-est, du 15 mais au 30 novembre. Pour la zone sud-ouest de l’océan Indien – dont Météo-France à la responsabilité – elle couvre la période du 15 novembre au 30 avril.
En ce qui concerne le Pacifique nord-ouest, il n’y a pas vraiment de saison officielle car l’activité cyclonique peut se manifester tout au long de l’année. L’océan Indien nord présente une petite particularité puisque la saison est coupée en deux par la mousson indienne qui est plutôt défavorable à l’activité cyclonique.
Soulignons que ces dates n’interdisent pas l’apparition de phénomènes cycloniques en dehors des périodes indiquées, à l’image d’Alex, qui a traversé l’archipel des Açores du 13 au 15 janvier 2016. Ce cas est intéressant car, non seulement il a sévi hors saison, mais il s’est également formé sur des eaux relativement fraîches de 22 °C, ce qui est plutôt rare pour un cyclone tropical. Il fait ainsi partie des cyclones qui se forment sur des eaux de surfaces plus fraîches que 26 °C, une limite souvent invoquée comme condition nécessaire à la formation d’un cyclone.
La question du changement climatique
En fait, si la ligne qui délimite les eaux supérieures à 26 °C enveloppe bien la zone de formation des cyclones tropicaux, c’est purement factuel. Aucune raison physique n’empêche un cyclone de se former sur des eaux plus froides. C’est au cours des années 1950 que les calculs de Palmèn (1948) sur la stabilité de la colonne atmosphérique aboutirent à populariser ce seuil qui caractérise le profil vertical de température, plutôt que la simple température de surface de la mer, nécessaire au déclenchement des cyclones.
Cette question du seuil des 26 °C n’a rien d’anodin. En effet, avec le réchauffement climatique provoqué par l’homme, les températures de surface de la mer sont attendues d’augmenter de plusieurs degrés au cours du XXIe siècle. Si la surface était seule responsable des conditions de formation cyclonique, on pourrait s’attendre dès lors à une augmentation notable des cyclones dans le climat futur.
Nombre et catégories des cyclones tropicaux (1945-2006). (Wikimedia, CC BY-SA)
Or, ce n’est pas ce que nous suggèrent les simulations climatiques les plus fiables. Ces simulations, bien que peu nombreuses à cause du coût numérique qu’elles engendrent (il faut modéliser l’atmosphère et l’océan sur des grilles très fines), semblent s’accorder sur le fait que le nombre global de cyclones tropicaux devrait rester stable, voire enregistrer une légère baisse.
En effet, avec le réchauffement ce n’est pas seulement la surface, mais l’ensemble de la troposphère qui se réchauffe, laissant à peu près identique le profil vertical des températures qui est le véritable catalyseur des phénomènes cycloniques.
Ainsi, les indices climatiques qui intègrent la température de 26 °C dans les conditions de déclenchement des cyclones tropicaux sont voués à donner une image erronée de l’impact du réchauffement sur l’activité cyclonique.
Rien à craindre du réchauffement ?
Si, tout de même, car les risques liés à l’activité cyclonique ne dépendent pas que du nombre de phénomènes identifiés ; il n’y a qu’à se rappeler les 45 cyclones annuels pour constater que tous ne provoquent pas des dégâts, pas plus que la quinzaine de systèmes qui « atterrissent ».
Le dernier rapport du Giec (2013) fait état d’une tendance à l’intensification des phénomènes les plus violents avec le réchauffement climatique. En effet, lorsque l’atmosphère se réchauffe, sa capacité à contenir de l’humidité augmente également suivant la formule de Clausius-Clapeyron, ce qui, lors d’un évènement extrême, permet de mobiliser plus d’énergie liée à la chaleur latente.
En premier lieu, cela donne davantage de pluies, mais dans le cas des cyclones, la libération de chaleur rétroagit sur les vents pour les renforcer. Cela ne se traduit pas forcément par une augmentation systématique de l’intensité des systèmes, mais les cyclones majeurs pourront profiter pleinement de ce mécanisme pour se renforcer.
#Irma vient de frapper St-Martin et St-Barthélémy et progresse vers l’ouest.
Suivez l’évolution de la situation ▶ https://t.co/raq9NbFiOU pic.twitter.com/qTtUyVxabb
— Météo-France (@meteofrance) 6 septembre 2017
Un autre objet d’inquiétude est lié à l’onde de tempête associée au cyclone. La dépression cyclonique tend à élever le niveau de la mer. Celui-ci peut être accentué par accumulation d’eau océanique poussée par les vents forts. Cette élévation, combinée avec des phénomènes de marée, peut provoquer des dégâts majeurs par inondation. Le niveau moyen des mers est attendu de s’élever au cours du siècle à venir, rendant les ondes de tempête encore plus dévastatrices.
L’extension du domaine cyclonique
Hormis tous les changements qui viennent d’être évoqués, la modification des trajectoires de cyclones pourrait également devenir un sujet de préoccupation pour l’avenir car elle rendrait vulnérables des zones qui ne sont pas aujourd’hui touchées et donc peu préparées à ce type de phénomène.
À ce jour, trop peu de résultats scientifiques ont été obtenus pour pouvoir donner une réponse fiable à la question du changement de trajectoires. Il faudra attendre encore quelques années pour approfondir ce sujet. Parmi les craintes que suscite le réchauffement, l’extension vers les pôles des zones tropicales pourrait étendre le terrain de jeu des cyclones tropicaux.
Une étude récente fait ainsi état d’une tendance observée en ce sens au cours des trente dernières années. C’est trop peu pour pouvoir étayer l’hypothèse de l’expansion de la zone d’activité des cyclones, mais c’est un sujet qui devra être approfondi dans un futur proche.
Insistons, pour conclure, sur le besoin de robustesse des tendances observées ou prévues pour permettre de se prononcer sur l’évolution d’un phénomène climatique. L’étude de l’évolution des cyclones tropicaux au cours du XXIe siècle se complique par le besoin gigantesque de ressource de calcul nécessaire pour représenter ces phénomènes de petite taille à l’échelle de la planète.
Avec la montée en puissance des ordinateurs actuels, les futures simulations devraient se multiplier pour permettre de répondre à toutes nos questions.
Fabrice Chauvin, chercheur au Centre national de recherches météorologiques, Météo France
La version originale de cet article a été publiée sur The Conversation.

vielen Dank, dass Sie unseren Kommentar-Bereich nutzen.
Bitte verzichten Sie auf Unterstellungen, Schimpfworte, aggressive Formulierungen und Werbe-Links. Solche Kommentare werden wir nicht veröffentlichen. Dies umfasst ebenso abschweifende Kommentare, die keinen konkreten Bezug zum jeweiligen Artikel haben. Viele Kommentare waren bisher schon anregend und auf die Themen bezogen. Wir bitten Sie um eine Qualität, die den Artikeln entspricht, so haben wir alle etwas davon.
Da wir die Verantwortung für jeden veröffentlichten Kommentar tragen, geben wir Kommentare erst nach einer Prüfung frei. Je nach Aufkommen kann es deswegen zu zeitlichen Verzögerungen kommen.
Ihre Epoch Times - Redaktion