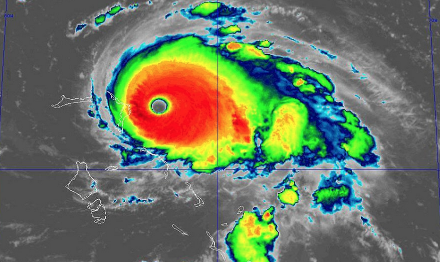
Le puissant ouragan de catégorie 5 Dorian s’est abattu dimanche sur les Bahamas avec des vents frôlant les 300 km/h, a annoncé le Centre…